Eladó építési telek - Szigethalom

KAPCSOLAT
Ördög Klára


+36 70 944

cld.homeinvest@

Az időpont kérés naptár ikonja
IDŐPONTOT KÉREK
A visszahívás kérés telefon ikonja egy azt körbe ölelő nyíllal
VISSZAHÍVÁST KÉREK
Ajánlom egy ismerősömnek ikon
AJÁNLOM EGY ISMERŐSÖMNEK
Facebook megosztás ikon
MEGOSZTÁS

KAPCSOLATFELVÉTEL

Küldés

Az üzenetet sikeresen elküldtük!
Hiba történt!
INGATLAN ADATAI

Ingatlan jellege

telek

Telek terület

4985 m²

Tájolás

dél, délkelet

Közműállapot

csatorna: utcában
gáz: utcában
villany: telken
víz: telken

Művelési ága

építési telek

Övezeti besorolás

uj-vt

Az időpont kérés naptár ikonja
HTML
Az időpont kérés naptár ikonja
PDF
Eladó építési telek
Ingatlan azonosító:
14_cld

Pest megye, Szigethalom

Irányár

96.5 M Ft
(19.36 E Ft/㎡)

Telek terület

4985 m²
INGATLAN LEÍRÁSA
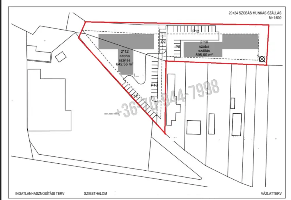
Eladó fejlesztési telek Szigethalmon – Vt3 besorolás, kiváló adottságokkal!

Pest megye egyik gyorsan fejlődő településén, Szigethalmon kínálunk eladásra egy nagyméretű, 4985 nm-es teleket, amely Vt3 besorolással rendelkezik. Ez a besorolás lehetővé teszi kereskedelmi, szolgáltató vagy intézményi célú fejlesztések megvalósítását, így kiváló lehetőséget nyújt vállalkozásoknak és befektetőknek egyaránt.

A telek elhelyezkedése kivételes: közvetlen közelében már működő kereskedelmi egységek, valamint különféle intézményi létesítmények találhatók, ami tovább növeli a fejlesztés értékét és piacképességét.

Telek és környezet főbb jellemzői:

Terület: 4985 nm, vegyes terület Vt3 besorolással, amely széles körű fejlesztési lehetőségeket biztosít (kereskedelmi, szolgáltató, intézményi célokra is alkalmas)

Közművek: a tulajdonos vállalja a víz- és villamosenergia-hálózat bevezetését a telekre, így az építkezés gyorsan elkezdhető

Elhelyezkedés: Szigethalom, dinamikusan fejlődő környezet, ahol már jelen vannak üzletek, irodák, szolgáltató egységek és közintézmények

Kiváló megközelíthetőség: az M0 autóút közelsége miatt könnyű és gyors kapcsolat biztosított a fővárossal és az ország többi részével

Tömegközlekedés: a közeli HÉV állomásnak köszönhetően Budapest könnyen és gyorsan elérhető, így a telek ideális helyszín mind vállalkozások, mind munkavállalók számára

Csendes, mégis forgalmas, jól frekventált környék, ami ideálissá teszi üzleti beruházásokhoz

Ez a telek tökéletes választás azoknak, akik egy jól megközelíthető, fejlett infrastruktúrával rendelkező területen szeretnének beruházni, legyen szó üzleti központ, üzletház, szolgáltató központ vagy akár egészségügyi, oktatási intézmény kialakításáról.

Ne hagyja ki ezt a páratlan lehetőséget, hogy részesévé váljon Szigethalom fejlődésének!

INGATLAN ADATAI

Ingatlan jellege
telek
Telek terület
4985 m²
Tájolás
dél, délkelet
Közműállapot
csatorna: utcában
gáz: utcában
villany: telken
víz: telken
Művelési ága
építési telek
Övezeti besorolás
uj-vt
TÉRKÉP

Pest megye, Szigethalom

Hitelkalkulátor


KAPCSOLAT
Ördög Klára
Ördög Klára


+36 70 944 7998

cld.homeinvest@gmail.com

KAPCSOLAT
Ördög Klára

+36 70 944

cld.homeinvest@

Az időpont kérés naptár ikonja
IDŐPONTOT KÉREK
A visszahívás kérés telefon ikonja egy azt körbe ölelő nyíllal
VISSZAHÍVÁST KÉREK
Ajánlom egy ismerősömnek ikon
AJÁNLOM EGY ISMERŐSÖMNEK
Facebook megosztás ikon
MEGOSZTÁS

KAPCSOLATFELVÉTEL

Küldés

Az üzenetet sikeresen elküldtük!
Hiba történt!
INGATLAN ADATAI

Ingatlan jellege

telek

Telek terület

4985 m²

Tájolás

dél, délkelet

Ingatlan állapot

kívül:
belül:

Közműállapot

csatorna: utcában
gáz: utcában
villany: telken
víz: telken

Művelési ága

építési telek

Övezeti besorolás

uj-vt

Az időpont kérés naptár ikonja
HTML
Az időpont kérés naptár ikonja
PDF

Hasonló ingatlan hírdetések

Eladó Építési telek hirdetést keres Szigethalom területén?
Jelenleg nincsenek hasonló aktuális ajánlatok Szigethalom településen.
Tekintse meg további Pest megyei ajánlatainkat !

eladó telek, Örkény

eladó telek

Pest megye, Örkény
Eladó Örkényben, kiváló lokációval, az autópálya-felhajtótól mindössze 100 méterre egy 17,8 hektáros ipari-kereskedelmi terület, amely a Gksz-2 övezeti besorolás előnyeit kínálja. Telek főbb paramé...
Telek terület
178000 m²

2200 M Ft

eladó telek, Dabas

eladó telek

Pest megye, Dabas, Városközpont
Kizárólag az Adamcsik Ingatlan kínálatában! Dabason, a városközponthoz közel kínálok megvételre egy 2816 m²-es, GKSZ-1 besorolású, kiváló adottságokkal rendelkező telket, amely ideális választás lehe...
Telek terület
2816 m²

40 M Ft

eladó telek, Csömör

eladó telek

Pest megye, Csömör
Eladó Csömörön, csendes, aszfaltos utcában 650 nm-es panorámás építési telek. Övezeti besorolás: Lke-1/2 Beépíthetőség: 30% Legnagyobb épület magasság: 6.0 m. Legkisebb zöldfelület: 50% Beépíté...
Telek terület
650 m²

61.9 M Ft

Panorámás!
Panorámás
eladó telek, Páty

eladó telek

Eladó zártkerti telek Pátyon, a közkedvelt Mézeshegyen

Pest megye, Páty, (Mézeshegy), Mézeshegyi utca
Eladó zártkerti telek Pátyon, a közkedvelt Mézeshegyen – 877 m², bekerített, közművek az utcában Páty a Zsámbéki-medence egyik legdinamikusabban fejlődő, mégis csendes és barátságos települése, aho...
Telek terület
877 m²

11.9 M Ft

eladó telek, Zsámbok

eladó telek

Pest megye, Zsámbok
Zsámbokon megvételre kínálunk egy 1010 m²-es, sarok elhelyezkedésű építési telket, amely az LF-2 (falusias lakóövezet) besorolásba tartozik. A telek 25%-os beépíthetőséggel rendelkezik. A saroktelek e...
Telek terület
1010 m²

13.5 M Ft

eladó telek, Ráckeve

eladó telek

Pest megye, Ráckeve
Ráckeve kedvelt belterületi részén eladó egy 3427 m²-es, beépítetlen terület, mely kiváló lehetőséget kínál mind magán-, mind befektetési célra. A telek mérete és elhelyezkedése lehetővé teszi akár...
Telek terület
3427 m²

21.5 M Ft

eladó telek, Szokolya

eladó telek

Eladó panorámás saroktelek Szokolyán – a Börzsöny kapujában

Pest megye, Szokolya, Újtelep
Ne csak álmodjon róla – éljen ott, ahol ez a kilátás a mindennap része! Eladó Szokolyán, a falu szélén, csendes és nyugodt környezetben egy 1334 m²-es, belterületi, kivett beépítetlen saroktelek. A ...
Telek terület
1334 m²

26.5 M Ft

eladó telek, Budaörs

eladó telek

Pest megye, Budaörs, (Nap hegy), Naphegy utca
ÖRÖKPANORÁMÁS, D-i fekvésű, 15 %-os beépíthetőségű, 606 nm-es telekrészt kínálunk most eladásra Budaörs-Naphegyen, ÜÜ1-es övezetben, melyre 90 nm alapterületű üdülőházas ingatlan építhető! Az elvehet...
Telek terület
606 m²

120 M Ft

Pest megye - Szigethalom
Pest megye - Szigethalom
Pest megye - Szigethalom
Pest megye - Szigethalom
Pest megye - Szigethalom
Pest megye - Szigethalom
Pest megye - Szigethalom
Pest megye - Szigethalom
Pest megye - Szigethalom
Pest megye - Szigethalom
Pest megye - Szigethalom
Pest megye - Szigethalom
Pest megye - Szigethalom
Pest megye - Szigethalom